¿Por dónde pasó el huracán María?
Entró por Yabucoa a las 6:15 de la mañana y salió por la costa de Camuy antes de las 2:00 de la tarde.

Nota de archivo: esta historia fue publicada hace más de 1 año.
PUBLICIDAD
El poderoso huracán María entró a Puerto Rico el miércoles 20 de septiembre del 2017 a las 6:15 de la mañana por la municipalidad de Yabucoa.
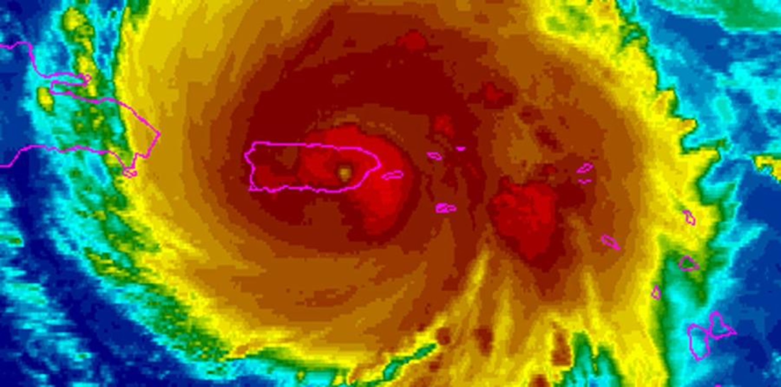
Así se desprende de la información provista por el Centro Nacional de Huracanes en Miami (CNH) en la que se establece que entró como un huracán categoría 4 con vientos de 155 millas por horas y una presión barométrica de 917 milibares.
Poco después de que tocara tierra el radar doppler de Puerto Rico se rompió, pero a través de las imágenes de satélite el CNH fue trazando la ruta del sistema.
A las 7:00 a.m., todavía con vientos de 155 mph, el ojo estaba sobre Maunabo.
La "calma" se sintió en Yabucoa, Maunabo, Patillas, San Lorenzo, Guayama y Cayey.
A las 8:00 de la mañana, según el CNH, los vientos habían bajado a 150 mph y el ojo estaba sobre Caguas.
Sintieron la calma Cidra, Aguas Buenas, partes de Comerío, Bayamón y Naranjito.
A las 9:00 de la mañana, el ojo estaba sobre Corozal con vientos de 145 mph.
Pasó por Morovis y Vega Alta, antes de llegar sobre Vega Baja a las 10:00 de la mañana, todavía con vientos de 145.
A las 11:00 a.m., con vientos de 140 mph estaba sobre Manatí. De allí pasó Florida, Barceloneta, Arecibo, Hatillo, Camuy y partes de Quebradillas.
A las 2:00 de la tarde, con vientos de 115mph, el centro estaba sobre el mar en las costas entre Camuy y Quebradillas.


