
PUBLICIDAD
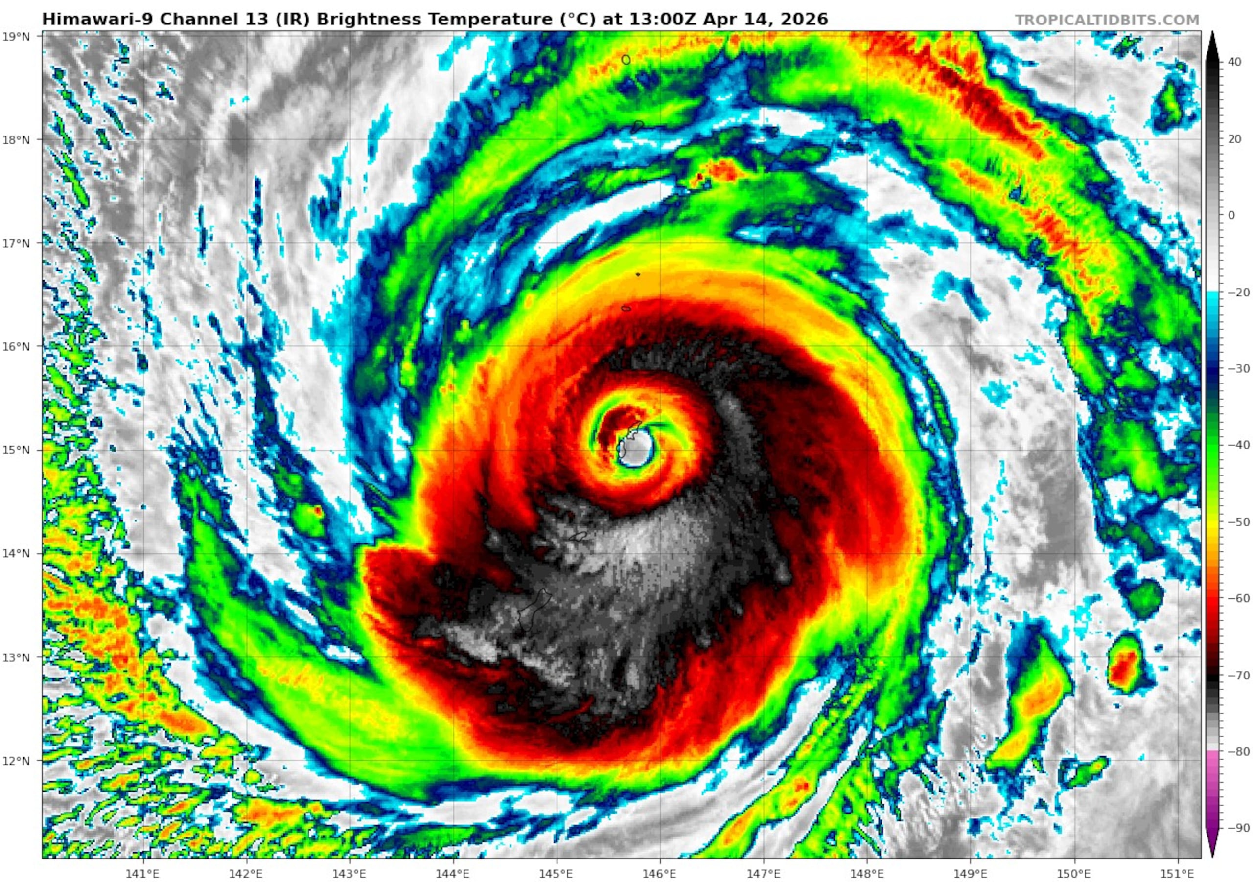
El poderoso tifón Sinlaku tocó tierra hoy en las Islas Marianas del Norte, un territorio de Estados Unidos en el Océano Pacífico.
Al momento del azote, tenía vientos de 145 mph con ráfagas más fuertes. Se esperaba que el fenómeno provocara vientos destructivos, lluvias torrenciales y marejadas peligrosas en la zona.
El sistema llegó a alcanzar vientos sostenidos de hasta 278 km/h (173 mph), pero perdió algo de fuerza. Aun así se mantiene con fuerza equivalente a un huracán mayor de categoría 4 en la escala Saffir-Simpson.
Aunque Guam no recibiría el impacto directo del núcleo del ciclón, la isla experimenta lluvias intensas y vientos con fuerza de tormenta tropical. Ante la magnitud del evento, el gobierno federal de Estados Unidos aprobó declaraciones de emergencia y desplegó personal de respuesta, incluyendo equipos de la Agencia Federal para el Manejo de Emergencias (FEMA), para apoyar las labores de preparación y asistencia.
❗️❗️ MONSTER Typhoon Sinlaku is now pushing into the Tinian–Saipan area in the Northern Mariana Islands, western Pacific, this evening.
— Volcaholic 🌋 (@volcaholic1) April 14, 2026
It’s only the second time on record a Category 4 system (JTWC scale) has tracked directly through here. pic.twitter.com/wT204pvibv
El tifón Sinlaku se formó el 9 de abril en el Pacífico occidental y se intensificó rápidamente en menos de dos días hasta convertirse en supertifón, un comportamiento poco común para el mes de abril, fuera del pico tradicional de la temporada que ocurre entre junio y noviembre. Meteorólogos advierten que su evolución podría anticipar una temporada de tifones más activa de lo normal en el Pacífico este año.
Saipan es golpeada por el supertifon Sinlaku . pic.twitter.com/qiESXh8O6K
— Alertageo (@alertarojanot) April 14, 2026
Chinese tourists photograph the torrential rain and strong winds of Super Typhoon Sinlaku on Saipan. https://t.co/68vqJRSUTw pic.twitter.com/c5TpBy0fz6
— Jim (@yangyubin1998) April 14, 2026


