Helene llega a Florida como un potente huracán categoría 4
Con vientos máximos sostenidos de 140 millas.

Nota de archivo: esta historia fue publicada hace más de 2 años.
PUBLICIDAD
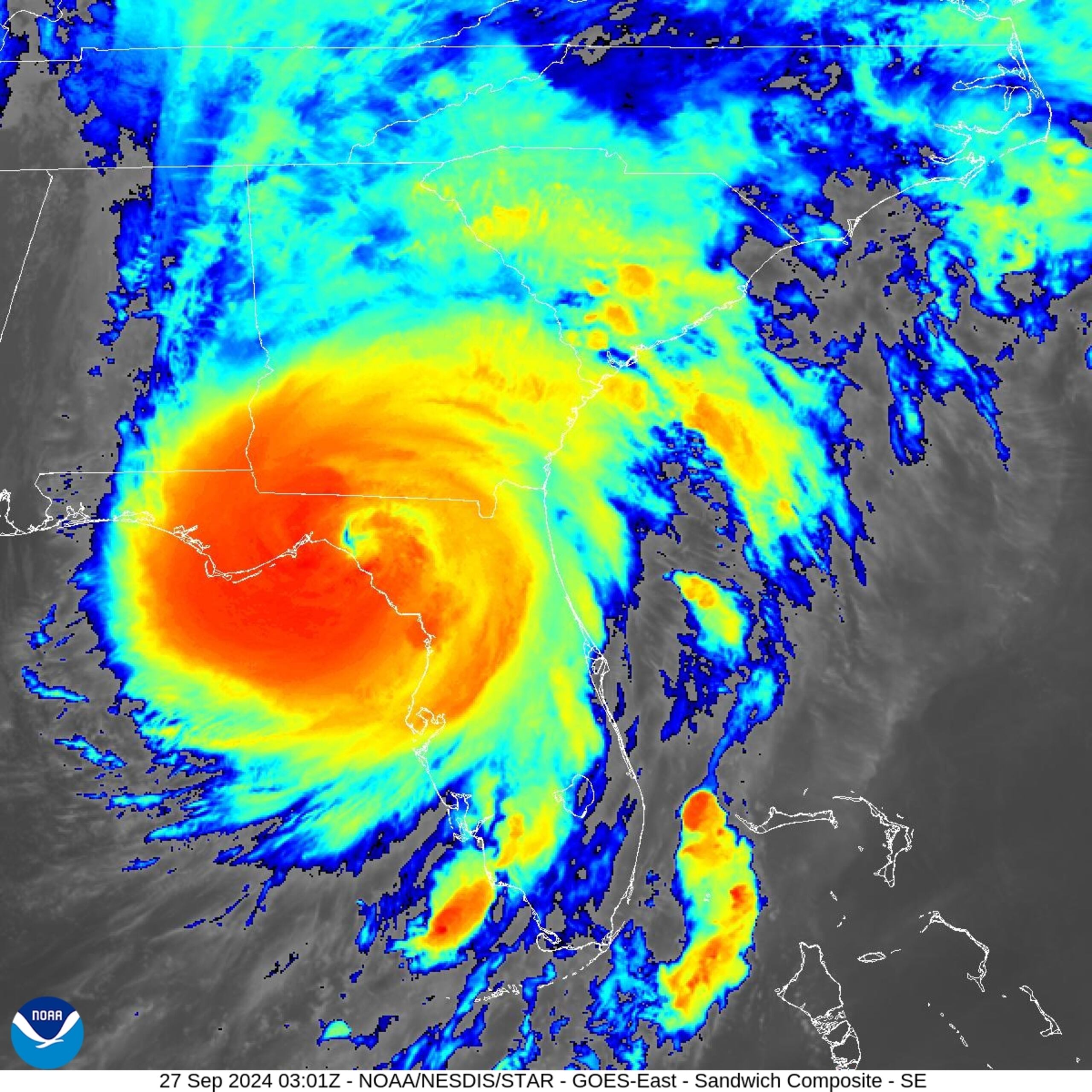
El huracán Helene tocó tierra el jueves por la noche en el noroeste de Florida como una tormenta de categoría 4, luego de que los meteorólogos advirtieran que el enorme sistema podría generar una marejada “de pesadilla” y traer consigo peligrosos vientos y lluvia a gran parte del sureste de Estados Unidos.
El Centro Nacional de Huracanes (NHC, por sus siglas en inglés) dijo que Helene llegó a la costa aproximadamente a las 11:10 tiempo del este de Estados Unidos, cerca de la boca del río Aucilla en el área del Big Bend de Florida. Tenía vientos máximos sostenidos de 140 millas por hora.
Relacionadas
La presencia de Helene en el golfo provocó la emisión de alertas de huracán e inundaciones repentinas que se extendían hasta el norte de Georgia y el oeste de Carolina del Norte. Antes de que tocara tierra, sus intensos vientos ya habían causado una interrupción del suministro eléctrico en casi 900,000 viviendas y negocios de Florida, según el sitio poweroutage.us, especializado en dar seguimiento a suspensiones en el servicio. Los gobernadores de Florida, Georgia, las Carolinas y Virginia declararon el estado de emergencia en sus estados.
Se reportó la muerte de dos personas debido a un posible tornado en el sur de Georgia a medida que el huracán se acercaba.
🚨FUERTES IMÁGENES TRAS PASO DEL HURACÁN #Helene 🚨
— D M (@iluminnatii) September 27, 2024
El huracán Helene, clasificado como de categoría 4, ha causado devastación al tocar tierra en la costa noroeste de Florida, con vientos de hasta 130 mph y marejadas de hasta 20 pies. Ha sido un recordatorio del poder de la… pic.twitter.com/Kc56ZN8V5p
La oficina del Servicio Meteorológico Nacional en Tallahassee había emitido una “alerta de vientos extremos” para el área de Big Bend: “Tome este alerta como si fuera un alerta de tornado”, manifestó en una publicación en la red social X. “¡Refúgiese en la habitación más interna (de la vivienda) y agáchese!”.

Los efectos ya comenzaban a sentirse desde el jueves por la tarde: vientos con intensidad de tormenta tropical soplaban en toda Florida, y el agua bañaba una carretera en la parte norte de Cabo Siesta, cerca de Sarasota. En Asherville, Carolina del Norte, un aguacero arrojó 7 pulgadas de agua y aumentó la preocupación de que se produzcan inundaciones.
Los meteorólogos también advirtieron sobre la posibilidad de tornados, vientos perjudiciales y deslaves. El presidente Joe Biden enviará el viernes a Florida al director de la Agencia Federal para el Manejo de Emergencias con el fin de que observe los daños.
Autoridades federales organizaban equipos de búsqueda y rescate. La oficina del Servicio Meteorológico Nacional en Tallahassee pronosticó marejadas ciclónicas de hasta 20 pies y adivirtió que podrían ser particularmente “catastróficas e imposibles de sobrevivir” en la bahía Apalachee.
Por otro lado, la tormenta tropical Isaac se formó el miércoles en el Atlántico y se prevé que se fortalezca a medida que avanza hacia el este en el océano abierto, posiblemente convirtiéndose en huracán antes de que concluya la semana, señalaron meteorólogos. Funcionarios dijeron que su oleaje y vientos podrían afectar partes de las Bermudas y a la larga las Azores el fin de semana.
En el Pacífico, el exhuracán John se volvió tormenta tropical el miércoles, y el jueves por la mañana se convirtió de nuevo en huracán, amenazando áreas de la costa occidental de México con inundaciones repentinas y deslaves. El presidente Andrés Manuel López Obrador elevó el jueves a cinco la cifra de personas fallecidas a consecuencia de John.

