Tifón Shanshan azota a Japón
El sistema se despaza con lentitud lo que genera gran preocupación en el país.

Nota de archivo: esta historia fue publicada hace más de 2 años.
PUBLICIDAD
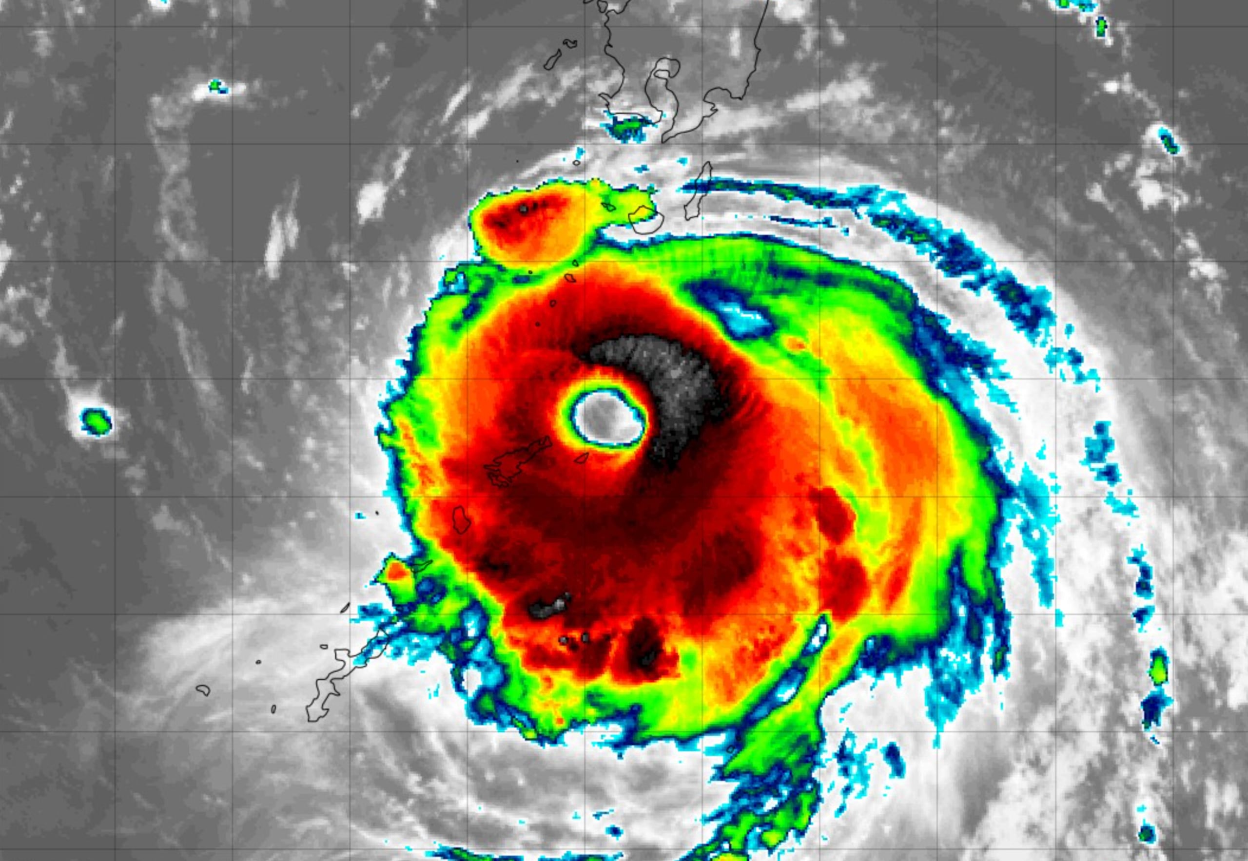
Tokio. El tifón Shanshan azota este martes la región insular de Amami, en el sudoeste de Japón, con expectativas de alcanzar la isla de Kyushu en los próximos días y afectar a buena parte del archipiélago nipón.
Según la Agencia Metereológica de Japón (JMA), el ciclón tropical se desplaza con lentitud, lo que incrementa su virulencia, y podría ocasionar trastornos prolongados por todo el país, donde ya se están empezando a cancelar algunos trayectos del tren bala debido a las lluvias.
La JMA califica a Shanshan, décimo tifón de la temporada en el Pacífico, como de “gran potencia”, y prevé que alcance las islas Tokara, en la prefectura de Kagoshima, el miércoles, y el sur de Kyushu, la segunda isla más poblada del país, el jueves, con rachas máximas de más de 125 millas por hora.
Relacionadas
La agencia meteorológica local pronosticó fuertes lluvias para este martes en la costa occidental y oriental del Pacífico japonés, así como en la región de Amami, e instó a los residentes a mantenerse alerta ante posibles corrimientos de tierra, inundaciones en zonas bajas y desbordamientos de ríos.
A partir del miércoles, lluvias en la región sudoeste hasta bien entrado el jueves con precipitaciones intensas de hasta 24 pulgadas acumulados en 24 horas.
Las fuertes lluvias han causado ya la suspensión de algunos servicios del tren bala de la línea Tokaido entre las estaciones de cabecera de Tokio y Shin-Osaka.
Se espera que los servicios en las líneas Tokaido y Sanyo (que conecta las ciudades de Osaka y Fukuoka) de alta velocidad, puedan sufrir interrupciones parciales o totales entre el jueves y el sábado, mientras que las líneas de tren bala en Kyushu podrían adoptar medidas similares a partir de mañana miércoles.

