Melissa se convierte en un poderoso huracán de categoría 5
Se espera que impacte directamente a Jamaica este lunes y a Cuba entre martes y miércoles.

PUBLICIDAD
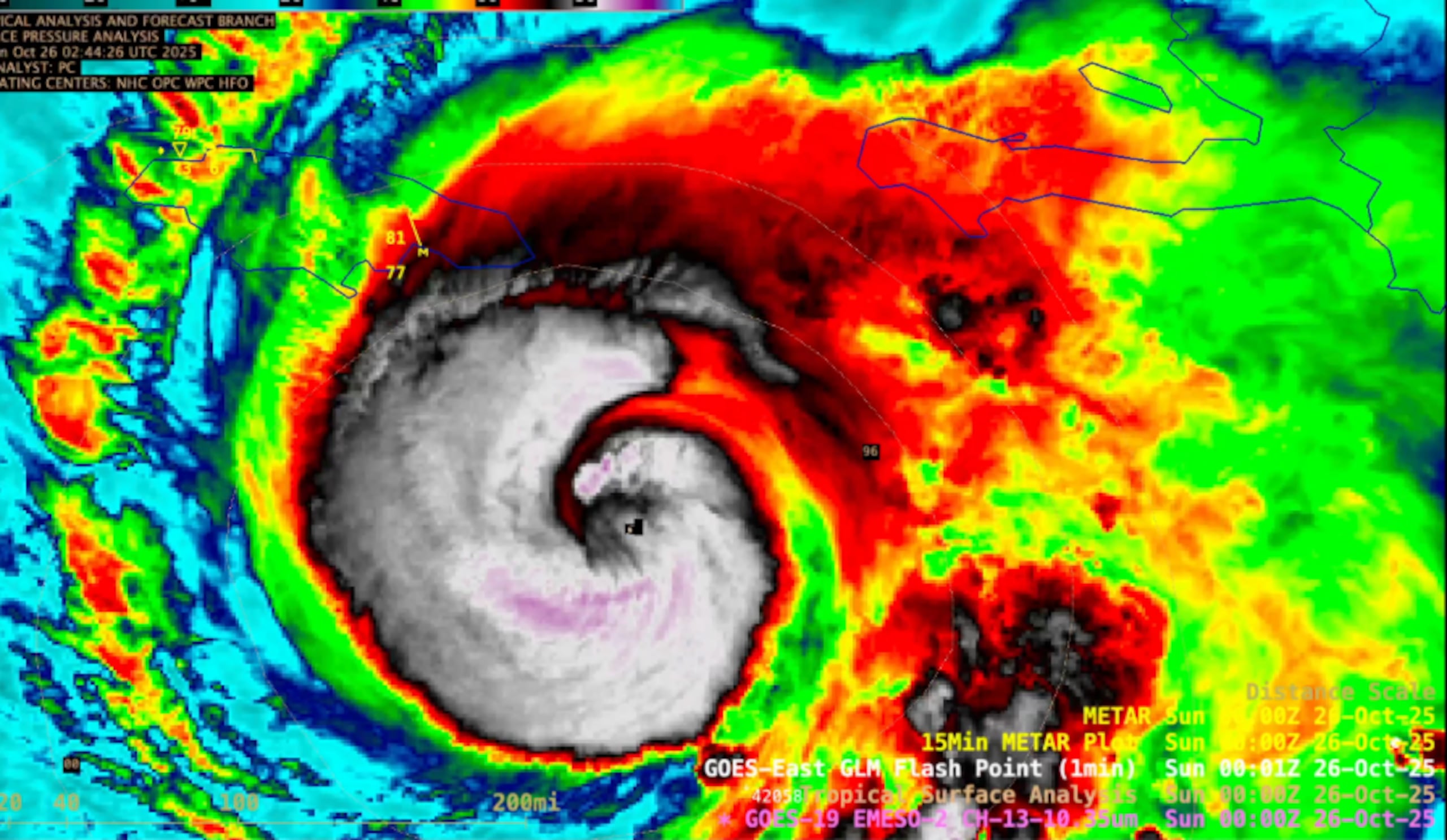
El huracán Melissa se intensificó a categoría 5 el lunes mientras se acercaba a Jamaica.
Se esperaba que Melissa tocara tierra en la isla el martes y cruzara Cuba y las Bahamas hasta el miércoles.
El centro de Melissa estaba unos 205 kilómetros (130 millas) al sur-suroeste de Kingston, Jamaica, y unos 505 kilómetros (315 millas) al sur-suroeste de Guantánamo, Cuba, según el Centro Nacional de Huracanes de Estados Unidos en Miami.
Tenía vientos máximos sostenidos de 260 km/h (160 mph) y se movía hacia el oeste a 6 km/h (3 mph), dijo el centro.
La categoría 5 es la más alta en la escala Saffir-Simpson, con vientos sostenidos que superan los 250 km/h (157 mph).
Relacionadas
Algunos lugares en el este de Jamaica podrían recibir un metro (40 pulgadas) de lluvia, mientras que el oeste de Haití podría recibir 40 centímetros (16 pulgadas), según el Centro Nacional de Huracanes de Estados Unidos en Miami. “Es probable que ocurran inundaciones repentinas catastróficas y numerosos deslizamientos de tierra”, advirtió.
La tormenta de lento movimiento ha causado la muerte de al menos tres personas en Haití y una cuarta persona en la República Dominicana, donde otra persona sigue desaparecida.
“Quiero instar a los jamaicanos a tomar esto en serio”, dijo Desmond McKenzie, vicepresidente del Consejo de Gestión de Riesgos de Desastres de la isla. “No jueguen con Melissa. No es una apuesta segura”.
Se esperaba que el huracán volviera a tocar tierra más tarde el martes en el este de Cuba. Había un aviso de huracán en efecto para las provincias de Granma, Santiago de Cuba, Guantánamo y Holguín, mientras que Las Tunas estaba bajo aviso de tormenta tropical. Se pronosticaron hasta 51 centímetros (20 pulgadas) de lluvia para partes de Cuba, junto con una marejada ciclónica significativa a lo largo de la costa.
Una tormenta récord para Jamaica
Melissa es el huracán más fuerte en la historia reciente en golpear directamente a la pequeña nación caribeña.
Evan Thompson, director principal del servicio meteorológico de Jamaica, advirtió que la limpieza y la evaluación de daños se retrasarían severamente debido a los deslizamientos de tierra anticipados, inundaciones y carreteras bloqueadas.
Melissa era el primer huracán de categoría 4 o más en tocar tierra en Jamaica en la historia reciente, dijo Thompson. Gilbert fue un huracán de Categoría 3 cuando golpeó la isla en 1988 y dos recientes tormentas de categoría 4, Iván y Beryl, no tocaron tierra, dijo Thompson.
Además de las lluvias, es probable que Melissa cause una marejada ciclónica con riesgo para la vida en la costa sur de Jamaica, alcanzando un pico de alrededor de cuatro metros (13 pies) sobre el nivel del suelo, cerca y al este de donde el centro de Melissa toque tierra, dijo el centro de Estados Unidos.
“No tomen decisiones imprudentes”, advirtió Daryl Vaz, ministro de transporte de Jamaica. “Estamos en un momento muy, muy serio durante los próximos días”.
Un golpe en La Española
La tormenta ya ha dejado caer fuertes lluvias en República Dominicana, donde se ordenó que las escuelas y oficinas gubernamentales permanecieran cerradas el lunes en cuatro de las nueve provincias que aún están bajo alerta roja.
Melissa dañó más de 750 hogares en todo el país, desplazando a más de 3.760 personas. Las aguas de la inundación también han cortado el acceso a al menos 48 comunidades, dijeron las autoridades.
En el vecino Haití, la tormenta destruyó cultivos en tres regiones, incluyendo 15 hectáreas (37 acres) de maíz en un momento en que al menos 5,7 millones de personas, más de la mitad de la población del país, sufren niveles de hambre de crisis, con 1,9 millones de esas personas enfrentando niveles de hambre de emergencia.
“Las inundaciones están obstruyendo el acceso a tierras de cultivo y mercados, poniendo en peligro las cosechas y la temporada agrícola de invierno”, dijo la Organización de las Naciones Unidas para la Alimentación y la Agricultura.
Se esperaba que Melissa siguiera dejando lluvias torrenciales sobre el sur de Haití y el sur de la República Dominicana en los próximos días.

