Jamaica se prepara para la llegada del huracán Melissa como categoría 4
Se espera que el ciclón se intensifique rápidamente.

PUBLICIDAD
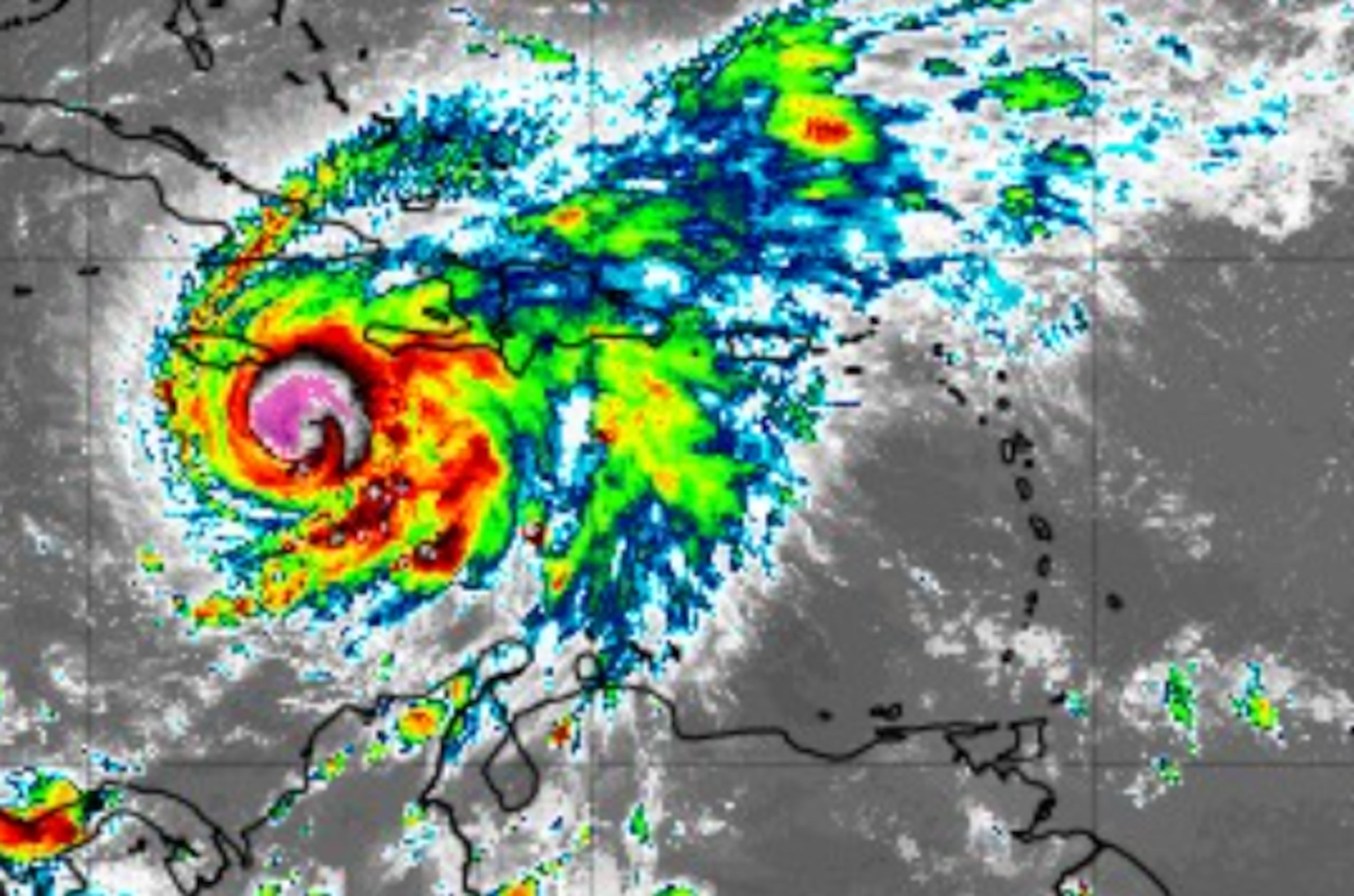
El director del Servicio de Meteorología de Jamaica, Evan Thompson, advirtió este sábado que el huracán Melissa podría tocar tierra el próximo martes como un potente ciclón de categoría 4, con vientos de entre 131 y 155 millas por hora, y auguró que la “furia” del fenómeno afectará a toda la isla.
“Ningún lugar escapará de la furia de este huracán”, dijo Thompson en una rueda de prensa.
Según el informe de las 5:00 de la tarde del Centro Nacional de Huracanes (NHC) en Miami, Florida (EE.UU.), Melissa avanzaba con vientos máximos sostenidos de 90 millas por hora con un movimiento de traslación lento al oeste a razón de 3 millas por hora .
Relacionadas
El NHC ubicó a Melissa en el más reciente boletín a 150 millas al sureste de Jamaica.
“Con el lento movimiento del sistema, no te da la oportunidad de recuperarte. No es como que se aleje y que el agua gradualmente se vaya. El huracán se mantendrá ahí, descargando lluvia mientras se mueve lentamente y eso es un reto que tenemos que enfrentar”, agregó Thompson.
El NCH informó que se espera que las condiciones de tormenta tropical comiencen en Jamaica a esta noche, con condiciones de huracán esperadas para el domingo o lunes.
Se espera que Melissa descargue hasta unas 40 pulgadas de lluvia sobre Jamaica.
Ante ello, el meteorólogo afirmó que a su paso, Melissa causará “grandes y catastróficas inundaciones”.
“Hay una pequeño espacio de que el huracán cambie de dirección, pero al discutirlo con el Centro de Huracanes, dicen que esa oportunidad se va cerrando”, indicó.
Hasta principios de la próxima semana se esperan “catastróficas inundaciones repentinas y deslizamientos, ambos con peligro para la vida” en Jamaica, que actualmente se encuentra bajo alerta de huracán. También se prevén lluvias intensas en partes del sur de Haití y República Dominicana, ambos bajo vigilancia meteorológica.
Los meteorólogos esperan que el ciclón gire hacia el norte y el noreste entre el lunes y el martes.
De acuerdo con la trayectoria pronosticada, el centro de Melissa se movería cerca de Jamaica durante este fin de semana y el inicio de la próxima, cuando se ubicaría cerca o sobre el este de Cuba el miércoles o jueves próximos.
“El huracán estará sobre nosotros por buen tiempo. Este sistema, como he dicho, descargará fuertes lluvias por lo menos cinco días seguidos, junto con los fuertes vientos que se esperan que aumenten gradualmente”, agregó Thompson.
Melissa ya causó al menos tres muertos en Haití y más de 1,2 millones de personas están sin agua potable en la República Dominicana, donde la tormenta también dejó fuera de servicio decenas de acueductos y provocó el desplazamiento de cientos de personas.
Con Melissa ya suman 13 los ciclones de esta temporada en el Atlántico: los huracanes Erin, Gabrielle, Humberto e Imelda, y las tormentas Andrea, Barry, Chantal, Dexter, Fernand, Jerry, Karen, Lorenzo y Melissa, entre las que Chantal ha sido la única en tocar tierra en EE.UU. en julio, dejando dos muertos en Carolina del Norte.

